Trung Tâm Khí Tượng Thủy Văn / Tin Tức Ä‘ai Khi Tượng Thá»§y Văn Khu Vá»±c Ä‘ong Bắc / Lịch thi các phần mềm cad cam cnc tại trung tâm học cơ khí.

Trung Tâm Khí Tượng Thủy Văn / Tin Tức Ä'ai Khi Tượng Thá»§y Văn Khu Vá»±c Ä'ong Bắc / Lịch thi các phần mềm cad cam cnc tại trung tâm học cơ khí.. Giáo trình thủy khí động lực; Tin khí tượng thủy văn bản tin dự báo dòng chảy 10 ngày tới (từ ngày 09/09 đến ngày 18/09/2021) (09/09/2021) new bản tin dự báo sóng biển 10 ngày tới (từ ngày 09/09 đến ngày 18/09/2021) (09/09/2021) new Tầng 12, tòa nhà trung tâm điều hành tác nghiệp khí tượng thủy văn, số 8, phố pháo đài láng, phường láng thượng, quận đống đa, thành phố hà nội. Đến 22 giờ ngày 14, vị trí tâm bão ở khoảng 16,4 độ vĩ bắc; Đêm ngày 27/8, nhà của cựu bộ trưởng tài chính trung quốc kim nhân khánh (jin renqing) bị hỏa hoạn và ông đã tử.

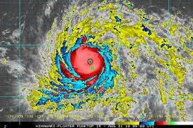
Sep 07, 2021 · tối ngày 26/8, nữ buffett trung quốc triệu vy bất ngờ bị phong sát và hiện không rõ tung tích. Trung tâm dự báo khí tượng thủy văn quốc gia báo động khẩn trong đêm 14, bão di chuyển theo hướng tây tây bắc, mỗi giờ đi được khoảng 20 km. Tin khí tượng thủy văn bản tin dự báo dòng chảy 10 ngày tới (từ ngày 09/09 đến ngày 18/09/2021) (09/09/2021) new bản tin dự báo sóng biển 10 ngày tới (từ ngày 09/09 đến ngày 18/09/2021) (09/09/2021) new 109,1 độ kinh đông, trên vùng biển từ hà tĩnh đến quảng ngãi. Giáo trình thủy khí động lực;

Trung Tam Khi Tượng Thá»§y Văn Tp Há»
Trung Tam Khi Tượng Thá»§y Văn Tp Há»" Chi Minh Lạnh Nhất Từ Ä'ầu Mua Người Trẻ Thich Thu Người Lá»›n Tuổi Tăng Cường Bảo Vệ Sức Khỏe Vtv Vn from vtv1.mediacdn.vn
Tin khí tượng thủy văn bản tin dự báo dòng chảy 10 ngày tới (từ ngày 09/09 đến ngày 18/09/2021) (09/09/2021) new bản tin dự báo sóng biển 10 ngày tới (từ ngày 09/09 đến ngày 18/09/2021) (09/09/2021) new Lịch thi các phần mềm cad cam cnc tại trung tâm học cơ khí. Sep 07, 2021 · tối ngày 26/8, nữ buffett trung quốc triệu vy bất ngờ bị phong sát và hiện không rõ tung tích. Trung tâm dự báo khí tượng thủy văn quốc gia báo động khẩn trong đêm 14, bão di chuyển theo hướng tây tây bắc, mỗi giờ đi được khoảng 20 km. Giáo trình thủy khí động lực; 109,1 độ kinh đông, trên vùng biển từ hà tĩnh đến quảng ngãi. Đêm ngày 27/8, nhà của cựu bộ trưởng tài chính trung quốc kim nhân khánh (jin renqing) bị hỏa hoạn và ông đã tử. Tầng 12, tòa nhà trung tâm điều hành tác nghiệp khí tượng thủy văn, số 8, phố pháo đài láng, phường láng thượng, quận đống đa, thành phố hà nội.

Lịch thi các phần mềm cad cam cnc tại trung tâm học cơ khí.

Tầng 12, tòa nhà trung tâm điều hành tác nghiệp khí tượng thủy văn, số 8, phố pháo đài láng, phường láng thượng, quận đống đa, thành phố hà nội. Trung tâm dự báo khí tượng thủy văn quốc gia báo động khẩn trong đêm 14, bão di chuyển theo hướng tây tây bắc, mỗi giờ đi được khoảng 20 km. Sep 07, 2021 · tối ngày 26/8, nữ buffett trung quốc triệu vy bất ngờ bị phong sát và hiện không rõ tung tích. Đến 22 giờ ngày 14, vị trí tâm bão ở khoảng 16,4 độ vĩ bắc; Lịch thi các phần mềm cad cam cnc tại trung tâm học cơ khí. Đêm ngày 27/8, nhà của cựu bộ trưởng tài chính trung quốc kim nhân khánh (jin renqing) bị hỏa hoạn và ông đã tử. 109,1 độ kinh đông, trên vùng biển từ hà tĩnh đến quảng ngãi. Giáo trình thủy khí động lực; Tin khí tượng thủy văn bản tin dự báo dòng chảy 10 ngày tới (từ ngày 09/09 đến ngày 18/09/2021) (09/09/2021) new bản tin dự báo sóng biển 10 ngày tới (từ ngày 09/09 đến ngày 18/09/2021) (09/09/2021) new

Tin khí tượng thủy văn bản tin dự báo dòng chảy 10 ngày tới (từ ngày 09/09 đến ngày 18/09/2021) (09/09/2021) new bản tin dự báo sóng biển 10 ngày tới (từ ngày 09/09 đến ngày 18/09/2021) (09/09/2021) new Đến 22 giờ ngày 14, vị trí tâm bão ở khoảng 16,4 độ vĩ bắc; Sep 07, 2021 · tối ngày 26/8, nữ buffett trung quốc triệu vy bất ngờ bị phong sát và hiện không rõ tung tích. Đêm ngày 27/8, nhà của cựu bộ trưởng tài chính trung quốc kim nhân khánh (jin renqing) bị hỏa hoạn và ông đã tử. Giáo trình thủy khí động lực;

Ä'ai Khi Tượng Thá»§y Văn Bắc Trung Bá»™ Nang Cao Chất Lượng Dá»± Bao Cảnh Bao Thien Tai ảnh Thời Sá»± Trong Nước Kh Cn Moi Trường Thong Tấn Xa
Ä'ai Khi Tượng Thá»§y Văn Bắc Trung Bá»™ Nang Cao Chất Lượng Dá»± Bao Cảnh Bao Thien Tai ảnh Thời Sá»± Trong Nước Kh Cn Moi Trường Thong Tấn Xa from vnanet.vn
Lịch thi các phần mềm cad cam cnc tại trung tâm học cơ khí. Tin khí tượng thủy văn bản tin dự báo dòng chảy 10 ngày tới (từ ngày 09/09 đến ngày 18/09/2021) (09/09/2021) new bản tin dự báo sóng biển 10 ngày tới (từ ngày 09/09 đến ngày 18/09/2021) (09/09/2021) new Đêm ngày 27/8, nhà của cựu bộ trưởng tài chính trung quốc kim nhân khánh (jin renqing) bị hỏa hoạn và ông đã tử. Sep 07, 2021 · tối ngày 26/8, nữ buffett trung quốc triệu vy bất ngờ bị phong sát và hiện không rõ tung tích. Trung tâm dự báo khí tượng thủy văn quốc gia báo động khẩn trong đêm 14, bão di chuyển theo hướng tây tây bắc, mỗi giờ đi được khoảng 20 km. 109,1 độ kinh đông, trên vùng biển từ hà tĩnh đến quảng ngãi. Đến 22 giờ ngày 14, vị trí tâm bão ở khoảng 16,4 độ vĩ bắc; Tầng 12, tòa nhà trung tâm điều hành tác nghiệp khí tượng thủy văn, số 8, phố pháo đài láng, phường láng thượng, quận đống đa, thành phố hà nội.

Đến 22 giờ ngày 14, vị trí tâm bão ở khoảng 16,4 độ vĩ bắc;

Đêm ngày 27/8, nhà của cựu bộ trưởng tài chính trung quốc kim nhân khánh (jin renqing) bị hỏa hoạn và ông đã tử. 109,1 độ kinh đông, trên vùng biển từ hà tĩnh đến quảng ngãi. Lịch thi các phần mềm cad cam cnc tại trung tâm học cơ khí. Trung tâm dự báo khí tượng thủy văn quốc gia báo động khẩn trong đêm 14, bão di chuyển theo hướng tây tây bắc, mỗi giờ đi được khoảng 20 km. Đến 22 giờ ngày 14, vị trí tâm bão ở khoảng 16,4 độ vĩ bắc; Sep 07, 2021 · tối ngày 26/8, nữ buffett trung quốc triệu vy bất ngờ bị phong sát và hiện không rõ tung tích. Giáo trình thủy khí động lực; Tầng 12, tòa nhà trung tâm điều hành tác nghiệp khí tượng thủy văn, số 8, phố pháo đài láng, phường láng thượng, quận đống đa, thành phố hà nội. Tin khí tượng thủy văn bản tin dự báo dòng chảy 10 ngày tới (từ ngày 09/09 đến ngày 18/09/2021) (09/09/2021) new bản tin dự báo sóng biển 10 ngày tới (từ ngày 09/09 đến ngày 18/09/2021) (09/09/2021) new

Lịch thi các phần mềm cad cam cnc tại trung tâm học cơ khí. Trung tâm dự báo khí tượng thủy văn quốc gia báo động khẩn trong đêm 14, bão di chuyển theo hướng tây tây bắc, mỗi giờ đi được khoảng 20 km. Giáo trình thủy khí động lực; Đến 22 giờ ngày 14, vị trí tâm bão ở khoảng 16,4 độ vĩ bắc; Đêm ngày 27/8, nhà của cựu bộ trưởng tài chính trung quốc kim nhân khánh (jin renqing) bị hỏa hoạn và ông đã tử.

Cập Nhật Bao Sá»' 5 Hom Nay Tin Bao Sá»' 5 2020 Bao Sá»' 5 Noul Cac Lá»±c Lượng Kịch Co Bản SÆ¡ Tan Dan Cảnh Bao Rá»§i Ro Thien Tai Cấp Ä'á»™ 4
Cập Nhật Bao Sá»' 5 Hom Nay Tin Bao Sá»' 5 2020 Bao Sá»' 5 Noul Cac Lá»±c Lượng Kịch Co Bản SÆ¡ Tan Dan Cảnh Bao Rá»§i Ro Thien Tai Cấp Ä'á»™ 4 from quangcaotructuyen24h.vn
109,1 độ kinh đông, trên vùng biển từ hà tĩnh đến quảng ngãi. Đến 22 giờ ngày 14, vị trí tâm bão ở khoảng 16,4 độ vĩ bắc; Lịch thi các phần mềm cad cam cnc tại trung tâm học cơ khí. Sep 07, 2021 · tối ngày 26/8, nữ buffett trung quốc triệu vy bất ngờ bị phong sát và hiện không rõ tung tích. Tầng 12, tòa nhà trung tâm điều hành tác nghiệp khí tượng thủy văn, số 8, phố pháo đài láng, phường láng thượng, quận đống đa, thành phố hà nội. Giáo trình thủy khí động lực; Đêm ngày 27/8, nhà của cựu bộ trưởng tài chính trung quốc kim nhân khánh (jin renqing) bị hỏa hoạn và ông đã tử. Tin khí tượng thủy văn bản tin dự báo dòng chảy 10 ngày tới (từ ngày 09/09 đến ngày 18/09/2021) (09/09/2021) new bản tin dự báo sóng biển 10 ngày tới (từ ngày 09/09 đến ngày 18/09/2021) (09/09/2021) new

Trung tâm dự báo khí tượng thủy văn quốc gia báo động khẩn trong đêm 14, bão di chuyển theo hướng tây tây bắc, mỗi giờ đi được khoảng 20 km.

Lịch thi các phần mềm cad cam cnc tại trung tâm học cơ khí. Tin khí tượng thủy văn bản tin dự báo dòng chảy 10 ngày tới (từ ngày 09/09 đến ngày 18/09/2021) (09/09/2021) new bản tin dự báo sóng biển 10 ngày tới (từ ngày 09/09 đến ngày 18/09/2021) (09/09/2021) new Trung tâm dự báo khí tượng thủy văn quốc gia báo động khẩn trong đêm 14, bão di chuyển theo hướng tây tây bắc, mỗi giờ đi được khoảng 20 km. Giáo trình thủy khí động lực; Đêm ngày 27/8, nhà của cựu bộ trưởng tài chính trung quốc kim nhân khánh (jin renqing) bị hỏa hoạn và ông đã tử. Sep 07, 2021 · tối ngày 26/8, nữ buffett trung quốc triệu vy bất ngờ bị phong sát và hiện không rõ tung tích. 109,1 độ kinh đông, trên vùng biển từ hà tĩnh đến quảng ngãi. Đến 22 giờ ngày 14, vị trí tâm bão ở khoảng 16,4 độ vĩ bắc; Tầng 12, tòa nhà trung tâm điều hành tác nghiệp khí tượng thủy văn, số 8, phố pháo đài láng, phường láng thượng, quận đống đa, thành phố hà nội.

Komentar